老旧小区加装电梯是民生工程,也是民心工程。近年来,宝山区一直在积极推进既有住宅加装电梯,取得积极成效。近日,宝山区铁峰路2001弄2号、梅林路865弄3号、吉浦路615弄59号、三门路485弄75号、吉浦路615弄55号、宝钢二村29号、宝山三村2号将加装电梯,目前设计方案正在公示中,为宝山“加梯”开启加速度。详见↓

01
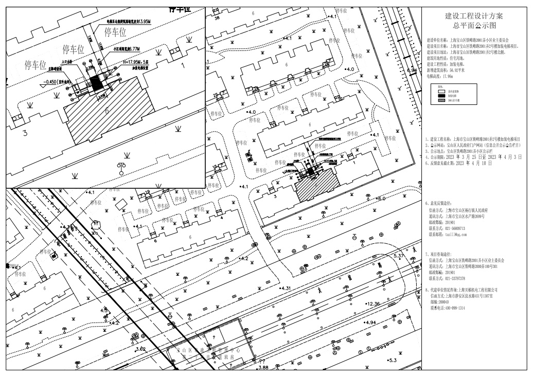
宝山区铁峰路2001弄2号
既有多层住宅加装电梯项目设计方案

公示网站:上海市宝山区政府门户网站
公示地点:上海市宝山区铁峰路2001弄小区公示栏
公示期限:2023年3月25日至2023年4月3日
收集意见截止期:2023年4月10日
意见反馈途径
邮件方式:上海市宝山区杨行镇人民政府
电子邮箱:taz111@qq.com(邮件名称、主题中应标明公示名称)
项目情况咨询
上海市宝山区铁峰路2001弄业主委员会
联系电话:021-33797378
通讯地址:上海市宝山区铁峰路2000弄100号301
02
宝山区梅林路865弄3号
既有多层住宅加装电梯项目设计方案

公示网站:上海市宝山区政府门户网站
公示地点:上海市宝山区梅林路865弄小区公示栏
公示期限:2023年3月25日至2023年4月3日
收集意见截止期:2023年4月10日
意见反馈途径
邮件方式:上海市宝山区杨行镇人民政府
电子邮箱:taz111@qq.com(邮件名称、主题中应标明公示名称)
项目情况咨询
上海市宝山区宝虹水岸景苑小区业主委员会
联系电话:021-36212916
通讯地址:上海市宝山区梅林路865弄3号101室
03
宝山区吉浦路615弄59号多层住宅
加装电梯项目设计方案

公示网站:上海市宝山区政府门户网站
公示地点:吉浦路615弄公示栏
公示期限:2023年3月29日至2023年4月7日
收集意见截止期:2023年4月14日
意见反馈途径
上海市宝山区高境镇人民政府
电子邮箱:gjgs2022@126. com (邮件名称、主题中应标明公示名称)
项目情况咨询
信函方式∶上海市宝山区吉浦路615弄业主委员会
通讯方式∶上海市宝山区吉浦路615弄4号104号
联系人∶朱巧云
联系电话∶021-55035482
04
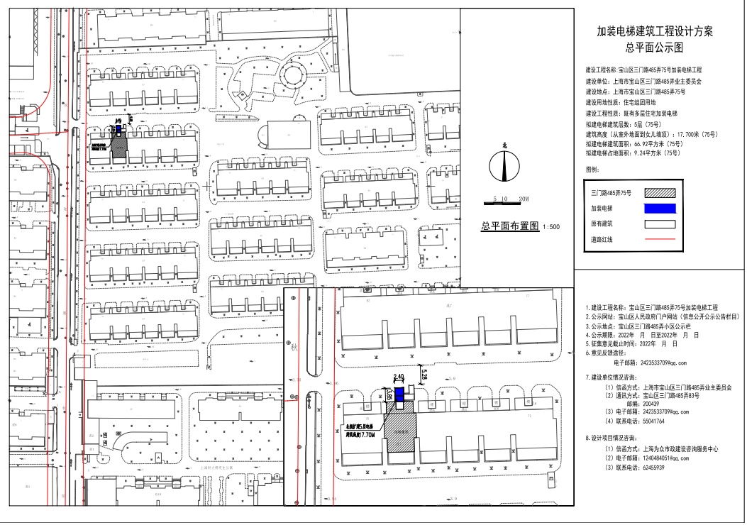
宝山区三门路485弄75号多层住宅
加装电梯项目设计方案

公示网站:上海市宝山区政府门户网站
公示地点:宝山区三门路485弄小区公示栏
公示期限:2023年3月29日至2023年4月7日
收集意见截止期:2023年4月14日
意见反馈途径
上海市宝山区高境镇人民政府
电子邮箱:gjgs2022@126. com (邮件名称、主题中应标明公示名称)
项目情况咨询
信函方式∶上海市宝山区三门路485弄业主委员会
通讯方式∶上海市宝山区三门路485弄83号
邮编∶200439
电子邮箱:2423533709@qq.com
联系电话∶021-55041764
05
宝山区吉浦路615弄55号多层住宅
加装电梯项目设计方案

公示网站:上海市宝山区政府门户网站
公示地点:宝山区吉浦路615弄公示栏
公示期限:2023年3月29日至2023年4月7日
收集意见截止期:2023年4月14日
意见反馈途径
上海市宝山区高境镇人民政府
电子邮箱:gjgs2022@126. com (邮件名称、主题中应标明公示名称)
项目情况咨询
信函方式∶上海市宝山区吉浦路615弄业主委员会
通讯方式∶上海市宝山区吉浦路615弄4号104号
联系人∶朱巧云
联系电话∶021-55035482
06
宝山区宝钢二村29号
加装电梯项目设计方案

公示网站:上海市宝山区政府门户网站
公示地点:宝钢二村小区公示栏
公示期限:2023年3月30日至2023年4月8日
收集意见截止期:2023年4月15日
意见反馈途径
信函方式:上海市宝山区友谊路街道办事处
通讯地址:上海市宝山区牡丹江路1299弄1号
邮政编码:201999
电子信箱:bsyyljd@163.com(邮件名称、主题中应标明公示名称)
项目情况咨询
上海市宝山区宝钢二村业主委员会
联系电话:56600323
通讯地址:上海市宝山区宝钢二村32号乙西
邮政编码:201999
07
宝山区宝山三村2号单元
多层住宅加装电梯项目设计方案

公示网站:上海市宝山区政府门户网站
公示地点:宝山三村小区公示栏
公示期限:2023年3月30日至2023年4月8日
收集意见截止期:2023年4月15日
意见反馈途径
信函方式:上海市宝山区友谊路街道办事处
通讯地址:上海市宝山区牡丹江路1299弄1号
邮政编码:201999
电子信箱:bsyyljd@163.com(邮件名称、主题中应标明公示名称)
项目情况咨询
上海市宝山区宝山三村业主委员会
联系电话:36010831
通讯地址:上海市宝山区牡丹江路209号4楼
邮政编码:201999
编辑:张睿芃
资料:区政府门户网
*转载请注明来自上海宝山官方微信