
霞飞路上建公寓
川中银行第一家
蓝色琉璃青铜器
赫赫有名聚兴诚
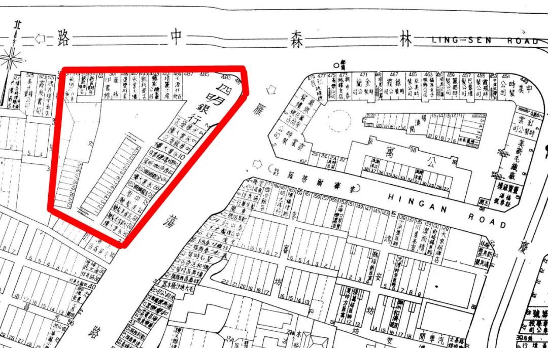
在淮海中路与雁荡路转角,即淮海中路481-501号和雁荡路2-30号有一幢漂亮的公寓建筑,今称“永业大楼”,旧名为“杨氏公寓”,其原来的英文楼名为Young Apartments。
以前,上海的公寓大多是由房地产公司或银行的地产部投资兴建,一部分作为银行的“福利房”,优先和优惠提供自己银行的职员租赁、居住。余下的提供出租,一般由银行的地产部自己经租。永业大楼的经营者就是一家叫Young-Brothrs Banking Corporation的商事机构,而他的中文行名就是“聚兴诚银行”,由此可以推断,永业大楼就是“聚兴诚银行”的产业。

永业大楼最初的设计方案之一
“聚兴诚银行”于1914年正式向政府注册,总部设立于重庆,是近代四川第一家银行。聚兴诚银行上海分行成立于1919年,鉴于上海房地产市场的繁荣,在金融业务之外,聚兴诚银行上海分行又设有地产部,最初代理房地产经租,后来发展到房地产投资。
1930年代初至1937年抗战爆发这段时间,是上海房地产建设最兴旺的时期,沪上许多高楼大厦、公寓别墅就是在这一时期建造的,永业大楼就是其中之一,建造时间为1932-1933年,由英商马海洋行设计,余洪记营造厂承建。马海洋行在上海有不少作品,如今外滩1号的亚细亚大楼,2号的上海总会等。

永业大楼最初的设计方案之二
永业大楼为六层钢筋混凝土结构公寓建筑,占地面积约3300平方米,地块位于淮海中路与雁荡路交叉口的西南转角,建筑师充分利用该地块的特征,以二路交叉形成的直角为中轴线和主立面,两翼开展,形成不严格对称。淮海中路在当时已经是中高档住宅区,商业业态已经形成。所以,底层均设计为铺面,其中中轴线的底层,即今淮海中路481号的底层和部分楼层建成后即由浙江兴业银行租用,1945年后由四明银行租用。二翼底层铺面大多为单间,由各商铺租用。公寓从二层以上均为住宅,由雁荡路6号、18号、30号进出。

1940年代中后期,四明银行租用底层转角处作为营业所
永业大楼的建筑师别具匠心,外立面呈长条状,基本使用深色耐火砖,分多门进出,而在每个通道的立面使用灰白色外墙,增添了建筑的立体效果,强烈的色差增加了建筑的美感,在上海的公寓建筑中堪称佼佼者,也早已被列为上海近现代优秀历史建筑。
除了永业大楼,聚兴诚银行另一处值得一提的建筑,就是始建于1930年代中后期的聚兴诚银行上海分行大楼。20世纪20年代中期,聚兴诚银行上海分行设在江西路九江路转角的客利饭店,当时客利饭店因楼房简陋,设施陈旧而难以维持,此背景下,至1930年代,在客利饭店内营业的聚兴诚银行盘下前者,并于1935年在原址开始筹建聚兴诚银行上海分行大楼。

客利饭店旧影(左侧建筑)
这栋建筑由总部设在天津的基泰工程司设计。在此之间,这家由关颂声、朱彬、杨廷宝合伙组建的建筑事务所已成功完成了上海大陆银行(今九江路111号)、大新公司(今南京东路830号,即第一百货公司大楼)的设计和建设。在沪上颇具名声。

大楼位于九江路、江西路口,西侧即为圣三一堂。
聚兴诚银行上海分行大楼为11层(部分14层)钢筋混凝土结构建筑,以位于江西路与九江路交叉口形成的直角为中轴线,中轴线处为14层,大门就设在中轴线上,其设计中最显著的特征是矗立于屋顶的一座宋代建筑式样的3层亭子。大楼两翼直角展开,以朝西的江西路一侧为主立面。底层的入口处使用简化了的中国传统门楼形式,部分立面装修使用中国的青铜器图案,以及蓝色琉璃瓦。

聚兴诚银行大楼西立面设计图
办公楼有2台高速电梯及1台货梯,全楼装有空气调节机、水暖卫生、消防安全等设施,在当时堪称先进。惜因1937年全面抗战爆发,这份设计方案在此后的半个世纪中都未能全部付诸实践,直到1980年代末才得以加建完成。而这时,在近代中国金融界留下赫赫声名的聚兴诚银行早已烟消云散,成为了岁月的陈迹。
(来源:上海城建档案)