

注意啦!
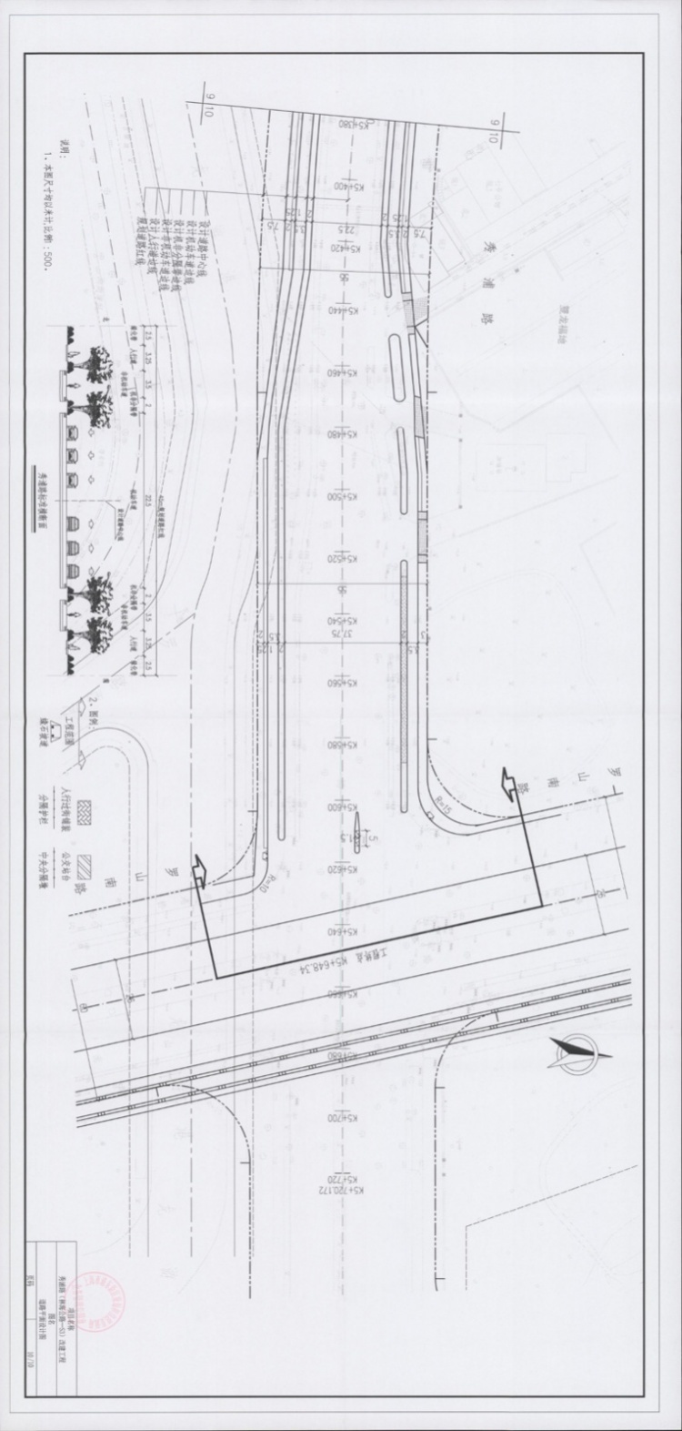
秀浦路(林海公路-S3)拟改建,
方案正在公示中,
更多详情一起来看看吧↓
项目详情
规划道路红线宽45米,道路等级为城市主干路,详见公示图。
请将手机旋转90度查看公示图↓










点击可查看大图

秀浦路标准横断面
公示详情
本次公示采取网上及现场同步公示的方式
公示网址:www.pudong.gov.cn/gtj/
现场公示地址:康桥镇政府、周浦镇政府、海富居民委员会、秀龙居民委员会、太平村村委会、中国科技技术大学上海研究生院、沿南村村委会、沿南工业园区、月苑居民委员会、康湾苑居民委员会、幸福居民委员会、半岛居民委员会、城中花园居民委员会、营房居民委员会、康桥派出所、康城学校(康佳路校区)
公示期限:2021年10月26日-2021年11月4日
反馈意见截止日期:2021年11月11日,信件以寄出邮戳为准。
本次公示采取书面信函方式听取公众意见
反馈意见的信函请寄:锦安东路475号2号楼浦东新区规划和自然资源局,邮编:201204;请在信函封面上注明“秀浦路(林海公路-S3)改建工程”项目建设工程设计方案公示意见。
责任编辑 邓清元
来源 浦东发布