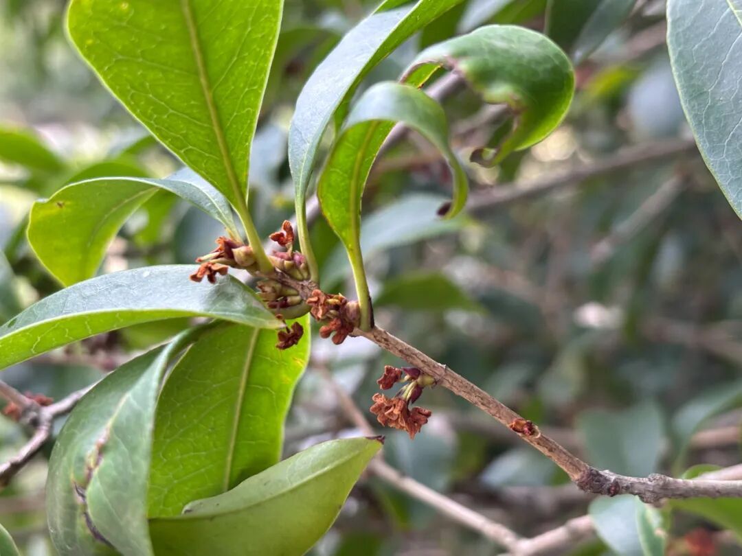
“十月桂花香”,是刻在许多人记忆里的秋日印记。往年这个时节,申城的街巷间早已飘满清甜的桂花香气。可如今行走在上海街头,那熟悉的桂影与香气却迟迟未现,这让许多计划赏桂的市民,不免多了几分困惑与失落。 记者近日走访上海植物园桂花集中观赏区发现,桂花树枝头并非盛开的鲜花,而是已经凋谢的干枯花朵,轻轻一碰便纷纷飘落。记者仔细察看后发现枝干间还残留着一些未能绽放的花芽,似乎在等待着合适的时机二次开放。 即将凋谢的桂花 专程前来赏桂的市民表达了他们的疑惑。一位游客告诉记者:“今年我看到好几个园里的桂花都没有开。以往桂花能陆续开三次,今年感觉一次都没开。” 另一位常在附近散步的市民告诉记者:“我认为桂花迟迟未开应该是天气太热造成的。本来9月底至10月初应该是桂花盛开、满城飘香的时候。” 桂花树 为何今年桂花迟迟未开?上海植物园的专家姚恩扬给出了专业解释:今年桂花只是推迟开放,并非不开,待气候条件适宜时,桂花仍会绽放。姚恩扬表示:“今年桂花开放特别晚,到目前为止只有零星盛开,且花期很短,主要原因是天气太热。今年9月是自1872年有气候记录以来最热的9月。桂花盛开需要气温降至20℃左右才能达到开花条件。而今年最低温度也保持在25℃左右,导致花量特别少。” 姚恩扬进一步说明,桂花开花需要满足气温、光照、养分、水分和空气湿度等多重条件,其中气温因素尤为关键。值得注意的是,今年已经开放的桂花一年只有一次盛花期,已开过的花芽不会再开,可能导致今年盛花期花量相对较少。随着秋季深入,气温逐渐下降,上海市民或许还能期待一场“迟来的”桂花盛宴。 第二届上海国际光影节徐汇分会场闭幕后,总策划给这场光影节打了几分? 今日15点开抢!2025徐汇“申夜深折”消费券第四轮来啦 记者:李梦婷、陈文卿 编辑:罗时珎 转载请注明来自上海徐汇官方账号


