

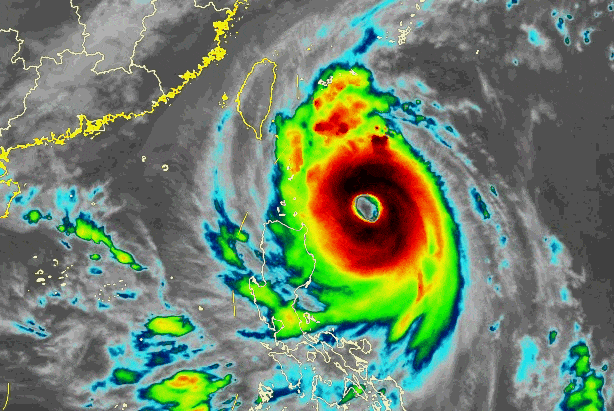
预计,“康妮”将以每小时15公里左右的速度向西北方向移动,强度还将有所增强,最强可达58-62米/秒(17级及以上),将于31日白天在台湾岛东部沿海登陆(45-55米/秒,14-16级,强台风级或超强台风级),之后穿过台湾岛向浙闽一带沿海靠近,并逐渐转向东北方向移动,强度逐渐减弱。

大风预报:30日08时至31日08时,受冷空气和“康妮”的共同影响,东海大部及钓鱼岛附近海域、台湾海峡、台湾以东洋面、巴士海峡、南海北部及东沙群岛附近海域、北部湾、浙江沿海、福建沿海、台湾岛沿海、海南岛沿海有6-8级大风,阵风9-10级;其中台湾海峡、台湾以东洋面和巴士海峡的部分海域、台湾岛东部沿海的风力有9-11级,阵风12-13级,台风中心经过的附近海面风力有12-16级,阵风17级及以上。

降水预报:30日08时至31日08时,台湾岛大部有大到暴雨,其中台湾岛中部和东部的部分地区有大暴雨,局地特大暴雨(250-280毫米)。

台风“康妮”强势来袭,在秋台风个算是个“狠角色”,或刷新多项纪录。据中国天气网首席气象分析师@weatherman_信欣 介绍 :
①如果“康妮”登陆台湾时还是超强台风级,将打破1949年以来10月登陆台湾最强台风纪录,也是最晚登陆台湾的超强台风。
②如果后期登陆福建或浙江,将是1949以来首次在11月有台风登陆福建或浙江,并创造台风登陆福建、浙江的最晚纪录。
③此外,台湾、福建、浙江、上海都可能出现极强台风雨,局地或刷新单日降水纪录。
气象专家分析,“康妮”之所以不断壮大,并步步逼近我国陆地,全凭“运气”,一方面,冷空气刚好处于空档期,副热带高压又刚好见缝插针地增强,而“康妮”又刚好这个时间点卡点生成,这些“刚好”造就了康妮有了靠近并登陆我国的机会。
受“康妮”影响
上海即将迎来大暴雨
受今年第21号台风“康妮”外围环流和冷空气共同影响,31日傍晚到11月1日,本市有大暴雨,过程雨量120~180毫米,东南部可达220~280毫米,最大小时雨强40~70毫米,降水具有极端性,有可能成为1981年以来11月最大降水过程;31日夜里起风力逐渐增大,11月1日最大陆地阵风8~9级,洋山港区阵风10~11级。

注意防范大暴雨:受“康妮”外围环流和冷空气共同影响,10月31日下午起本市将出现阵雨天气,傍晚开始雨势增强,强降水将持续到2日凌晨,降水集中时段出现在31日半夜至11月1日白天。过程累积雨量大暴雨(120~180毫米),本市东南部地区雨量更显著(局部可达220~280毫米),可能成为本市1981年以来11月最大降水过程。
注意防范大风:31日夜里起本市风力逐渐增大,11月1日最大陆地阵风8~9级,高层建筑及沿江沿海地区阵风9~10级,洋山港区阵风10~11级,2日下午风力逐渐减弱。
天气提示:台风影响前可适量储备饮用水和食物。台风影响期间尽量减少外出。
防范大风。妥善收起室外物品,防止高空坠物。不要在临时建筑物附近躲避风雨,车辆停靠远离大树等。
此次过程具有极端性,强降水可能造成局部积水,如在户外注意不要轻易涉水。
“康妮”影响期间正值天文大潮期,注意提防风暴增水影响,低洼处有需注意防范。
此次过程对交通有较大影响,注意及时了解出行信息。
注意及时了解预报预警信息。
下周冷空气影响
气温进一步下降
明天上海逐渐受到“康妮”外围影响,云系增多,下午开始转雨,全天气温在18~23℃之间。明天夜间到周五降雨明显,同时风力增大。
降雨和冷空气影响,周五和周六气温下降,最高气温仅20℃。
周日上海天气恢复平静。下周还有一次冷空气过程,上海以多云天气为主,气温进一步下降。
