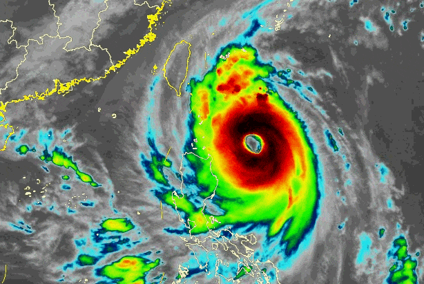
最新消息, 今年第21号台风“康妮” 已于今早(10月30日) 加强为超强台风级, 1981年以来上海11月最大降雨将来袭! 今天11时,“康妮”的中心位于距离台湾省台东市东南约520公里的太平洋洋面上,中心附近最大风力有17级,中心最低气压为925百帕,七级风圈半径380~480公里。 从云图上看,目前“康妮”台风眼清晰,结构完整 预计“康妮”将以每小时15~20公里的速度向西北方向移动,强度还将有所增强,将于31日中午到下午在台湾岛南部或中部登陆,尔后沿浙闽沿海一带近海北上(也可能在上述沿海地区登陆或擦过),强度迅速减弱。
台风“康妮”强势来袭, 周四傍晚至周五大暴雨
受“康妮”外围环流和冷空气共同影响,10月31日下午起上海市将出现阵雨天气,傍晚开始雨势增强,强降水将持续到2日凌晨,降水集中时段出现在31日半夜至11月1日白天。过程累积雨量大暴雨(120~180毫米),上海市东南部地区雨量更显著(局部可达220~280毫米),可能成为上海市1981年以来11月最大降水过程。

31日夜里起上海市风力逐渐增大,11月1日最大陆地阵风8~9级,高层建筑及沿江沿海地区阵风9~10级,洋山港区阵风10~11级,2日下午风力逐渐减弱。
31日,上海逐渐受到“康妮”外围影响,全天气温在18℃~23℃之间。降雨和冷空气影响,周五和周六气温下降,最高气温仅20℃。周日上海天气恢复平静。下周还有一次冷空气过程,上海以多云天气为主,气温进一步下降。

“康妮”是个狠角色
或刷新多项纪录
据中国天气网首席气象分析师@weatherman_信欣 介绍 :
①如果“康妮”登陆台湾时还是超强台风级,将打破1949年以来10月登陆台湾最强台风纪录,也是最晚登陆台湾的超强台风。
②如果后期登陆福建或浙江,将是1949以来首次在11月有台风登陆福建或浙江,并创造台风登陆福建、浙江的最晚纪录。
③此外,台湾、福建、浙江、上海都可能出现极强台风雨,局地或刷新单日降水纪录。
气象专家分析,“康妮”之所以不断壮大,并步步逼近我国陆地,全凭“运气”,一方面,冷空气刚好处于空档期,副热带高压又刚好见缝插针地增强,而“康妮”又刚好这个时间点卡点生成,这些“刚好”使“康妮”有了靠近并登陆我国的机会。

第一教育提醒
“康妮”威力不可小觑
老师、家长及时关注天气变化
记得帮孩子带好雨具
安全出行
综合自:上海天气发布、@中国天气、上观新闻
编辑:谢然
校对:曹铒
责任编辑:吴华
转载此文请注明出处
关注“第一教育”
分享至朋友圈惊喜更多!
___________________________