我的位置: 上观号 > 上海嘉定 > 文章详情

嘉定这3个小区将加装电梯,详戳→

转自:上海嘉定 2023-10-25 09:19:24

@嘉定的小伙伴们,

嘉定这3个小区将加装电梯,
快来看看有你们小区吗?

01
嘉定区塔城路450弄13号楼

既有多层住宅加装电梯项目

建设工程名称

嘉定区塔城路450弄13号楼
加装电梯项目

效果图

建设单位

嘉定区小囡桥第六届业主委员会

建设项目地址

嘉定区塔城路450弄13号

总平面图

建设工程性质

加装电梯工程

建设用地性质

居住用地

建筑面积

72.73平方米

02
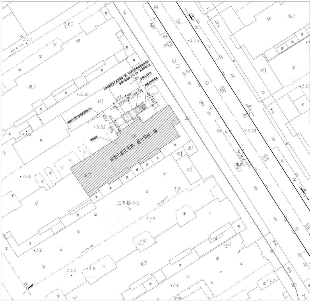
嘉定区塔城路470弄15号楼

既有多层住宅加装电梯项目

建设单位名称

嘉定镇街道三皇桥社区

三皇桥小区业主委员会

效果图

建设工程名称

嘉定区塔城路470弄15号楼
既有多层住宅加装电梯项目

建设项目地址

嘉定区塔城路470弄15号楼

总平面图

建设用地范围

塔城路470弄15号楼入口处

建设用地性质

居住用地

建设工程性质

加装电梯工程

建筑面积

82.04平方米

03
嘉定区塔城路490弄7号楼

既有多层住宅加装电梯项目

建设工程名称

嘉定区塔城路490弄7号
加装电梯项目

效果图

建设单位

嘉定区三皇桥业主委员会

建设项目地址

嘉定区塔城路490弄7号

总平面图

建设工程性质

加装电梯工程

建设用地性质

居住用地

建筑面积

73.72平方米
通讯员:嘉小规
编辑:武利荣



喜欢就点个“赞”和“在看”吧~